Aktuálně můžete v lokalitě Jihlava vybírat z nabídky 11 pozemků.
Přehled nemovitostí: prodej pozemky > stavební pozemky Zpět na přehled nabídek

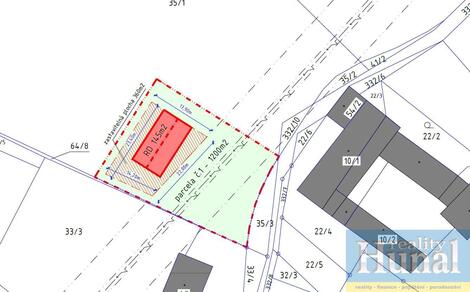
Prodej stavebního pozemku ve Vratišově na Pelhřimovsku, Mezná

1 200 m2

672

20.04.2026

Cena: 1695000 CZK / objekt
Poznámka k ceně: Cena je včetně všech poplatků 1

Poslat dotaz k nabídce
Zásady používání osobních údajů

Prodejce

Makléř: Hunal Václav

Telefon: 725 536 ...

E-mail: vaclavh ...

Zobrazit celý kontakt

Nemovitost nabízí

Reality Hunal

Rynárec 163, 394 01 Rynárec

www.realityhunal.cz

Zobrazit kontakt na RK

Zobrazit všechny nabídky RK

Nabízíme k prodeji krásný, jižně orientovaný pozemek o výměře 1200 m2 v klidné obci Vratišov, která se nachází pouhých 8 km od Pelhřimova. Pozemek leží na okraji obce a je dle územního plánu určený k výstavbě rodinného domu. K pozemku je zajištěn příjezd po obecní asfaltové komunikaci. Na hranici pozemku se nachází pilíř NN pro napojení elektřiny a přípojka vodovodního řadu. V obci není vybudována kanalizace, proto je nutné řešit odpadní vody pomocí domovní čističky odpadních vod. Díky své poloze nabízí místo dostatek klidu a soukromí, přitom zůstává skvěle dostupné do města. Pouhé 4 kilometry od Vratišova se nachází obec Rynárec, kde najdete školu, školku, poštu a obchod s potravinami. V případě zájmu je možné odkoupit i větší část pozemku, jelikož zatím není provedeno finální geodetické zaměření. Pokud hledáte ideální místo pro stavbu rodinného domu v krásné přírodě s výbornou dostupností do Pelhřimova, je tato nabídka určena právě pro Vás. Neváhejte nás kontaktovat pro více informací či domluvení prohlídky. <a href="https://www.eurobydleni.cz/byty/2_1/usti-nad-labem/obec-usti-nad-labem/pronajem/"><strong>Pronájem bytu 2+1 Ústí nad Labem</strong></a>




Prodej stavebního pozemku Mezná na Eurobydleni.cz


Nahoru